
Newbury Electronics’ expertise is helping scientists from the National Oceanographic Centre to discover more about the deep sea.
Newbury Electronics' connection with the National Oceanographic Centre (NOC) in Southampton started in the early 1990s. Since then both the research science and PCB manufacturing processes have made considerable advancements but Newbury Electronics has kept pace with the scientific demands and continues to supply an extensive range of bespoke boards to the NOC, an internationally renowned research organisation.
James Perrett, member of the NOC's Marine Autonomous Robotic Systems group, explains more about the latest joint project; "The group is increasingly utilising cutting-edge technology, with tools such as Autosub6000 and ROV Isis which are enabling high-resolution mapping of geological and biological hotspots, e.g. hydrothermal vent systems, submarine canyons and giant landslides. The battery boards in the Autosub6000 are used in an oil filled container which is pressure balanced so that the electronics are at the same pressure as the surrounding water."
To date Newbury Electronics has supplied 60 such boards. "When we are designing this equipment we have always found the team at Newbury Electronics extremely helpful and their depth of knowledge and willingness to work with us overcoming some of the challenges that are presented when operating such sophisticated equipment at such deep levels as has been invaluable," commented Perrett.
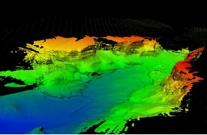
Another of the more recent boards that NE has supplied was the power board for the EM2040, an advanced multi-beam sonar system that creates high resolution 3D maps of the seabed. The board is used to convert the standard 48V vehicle power to the voltages required by the system and it also provides power supply protections and other housekeeping functions.
"Over the years we have covered layout out and production of over 50 different designs of boards for this and other research teams at the NOC. It is great when we hear back from customers like this about how our boards are being used and in this case the information and images that they are gathering are playing a key role in developing our understanding of the vast unknown expanses on our planet," said Philip King, Managing Director of Newbury Electronics.
The NOC Marine Geoscience group undertakes multi-disciplinary studies of seafloor and sub-seafloor environments throughout the world’s oceans, from the poles to the tropics and from the coast to the deepest trench. The group has an international reputation for research excellence based on technical innovation and the application of those techniques to applied research in marine science. By integrating cutting-edge technology with advanced mapping and observational techniques, NOC geoscientists are able to address major societal and environmental issues across the world's oceans. Recent achievements include discovering the world’s deepest hydrothermal vents, mapping the world’s largest submarine sediment gravity flows, and assessing the impacts of deep-sea trawling on vulnerable cold-water coral communities.
